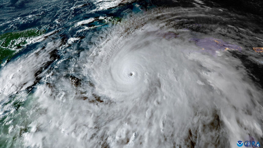
The Caribbean Hotel and Tourism Association (CHTA) extends its deepest concern and solidarity to the people of Jamaica and other Caribbean nations in the path of and impacted by Hurricane Melissa, now a powerful Category 5 storm bringing life-threatening winds, torrential rainfall, and widespread flooding.
“Our hearts are with the people of Jamaica and all those in the path of Hurricane Melissa,” said CHTA President Sanovnik Destang. “We stand united as a region, offering our support to communities, tourism and hospitality workers, and local businesses whose lives and livelihoods are being impacted. The Caribbean spirit is resilient, and together, we will recover, rebuild, and rise stronger.”
The CHTA Disaster Response Fund has been activated to assist those most affected by Hurricane Melissa. Working in collaboration with national hotel and tourism associations and regional partners, the fund will help mobilize resources to support both short- and intermediate-term recovery efforts in Jamaica as well as other destinations impacted by the storm.
CHTA will be guided by the instructions received through the Jamaica Hotel & Tourist Association (JHTA) and its on-the-ground partners to ensure all efforts are well-coordinated and address the immediate needs established. CHTA will continue to share details of relief initiatives and additional support opportunities as information becomes available.
“In moments like these, the strength of regional solidarity, as well as our greater CHTA community, is more important than ever,” shared CHTA CEO Vanessa Ledesma. “We commend the dedication of emergency services, hospitality and tourism professionals, and community leaders working tirelessly to protect lives and provide aid. As we face this latest challenge together, we reaffirm our commitment to standing shoulder to shoulder with our member destinations and industry partners across the region.”
